Menu

KPR
FAQ
 
 
 
Tanah

JUAL SIDOSERMO INDAH

Rp 12,39 Juta/m2

Rp 42 Miliar

LAHAN STRATEGIS UNTUK PERUMAHAN

 

Detail Properti

Transaksi

Jual

Kamar Tidur

-

Kamar Mandi

-

Luas Tanah

3388 m2

Tipe Properti

Tanah

Alamat

SIDOSERMO INDAH

Lokasi

Jawa Timur, Surabaya, Jemursari

Listrik

-

Sertifikat

SHM

Hadap

-

Group

Secondary

Furnish

-

Per m2

Rp 12,396,694 m2

Terdaftar Pada

12 Januari 2026

ID Listing

071625-BRS00031

 

Keterangan

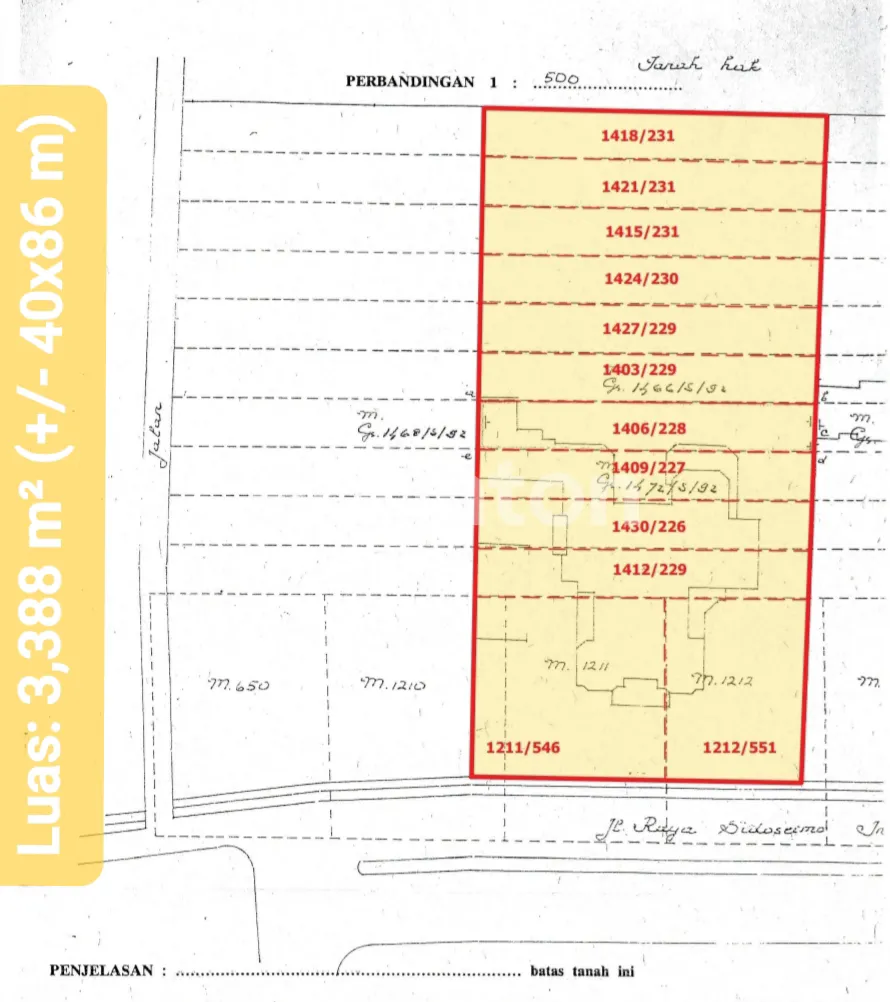
*J U A L L A H A N S T R A T E G I S*

Lokasi : Tengah kota, Raya Sidosermo Indah
Hadap : `Selatan`
Luas Lahan : `3,388 m²`
Bentuk Lahan : Kotak, dimensi avg. 40x86 m. (Lihat Lampiran peta bidang)
Legalitas : SHM
Row : `Jalan Kembar 2x10 m.`
Lingkungan Sekitar : `Lihat Lampiran.`

 

Simulasi Cicilan KPR

Harga Properti (Rp)

Rp 42 Miliar

Uang Muka (Rp)

%

Jangka Waktu

tahun

Suku Bunga

%

Jumlah Angsuran

per bulan
foto-agen

FRENGKY AGUSTINUS (FY)

Brighton Titanium

Satelit - Surabaya

Dengan klik tombol kontak, Pengguna setuju dengan Syarat Pengguna dan Kebijakan Privasi
Dengan klik tombol kontak, Pengguna setuju dengan Syarat Pengguna dan Kebijakan Privasi

Tertarik dengan Properti Ini?

Agent Image

FRENGKY AGUSTINUS (FY)

Siap Membantu!

Butuh bantuan jual, sewa, cari properti? Brighton siap membantu

Hubungi Customer Service Brigita