Menu

KPR
FAQ
 
 
 
Gudang

JUAL/SEWA KENJERAN

Rp 21,5 Miliar

Rp 325 Juta

GUDANG KENJERAN + RUMAH STRATEGIS DEKAT MERR, KEDUNG COWEK, NAMBANGAN

 

Detail Properti

Transaksi

Jual Sewa

Kamar Tidur

-

Kamar Mandi

-

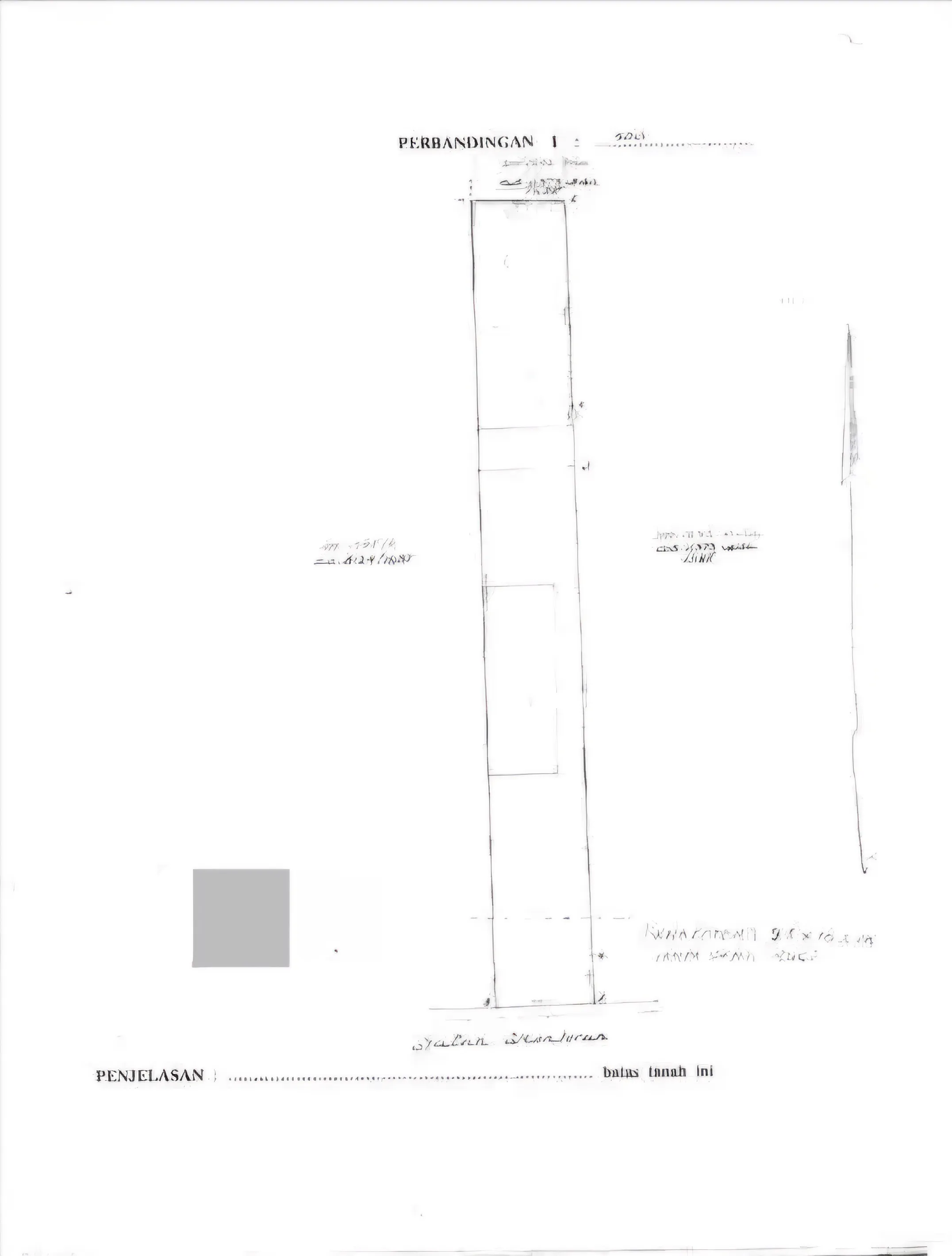
Luas Tanah

924 m2

Luas Bangunan

574 m2

Tipe Properti

Gudang

Alamat

KENJERAN

Lokasi

Jawa Timur, Surabaya, Kenjeran

Listrik

4400 Watt

Sertifikat

SHM

Hadap

Selatan

Group

Secondary

Furnish

-

Terdaftar Pada

18 Januari 2026

ID Listing

042025-BRGK00007

 

Keterangan

Gudang Jalan Kenjeran sangat strategis dekat dengan Merr
Ls Tanah 10.5x88
Ls Bangunan 7x22
Ls Gudang 10.5x40
Hadap selatan
Listrik 4400
2 KT; 2 KM
SHM
Sewa 325jt/thn; min 2 thn
Jual 21.5m

 

Simulasi Cicilan KPR

Harga Properti (Rp)

Rp 21,5 Miliar

Uang Muka (Rp)

%

Jangka Waktu

tahun

Suku Bunga

%

Jumlah Angsuran

per bulan

foto-agen

LEONARDI (JFGZ)

Brighton Ultimate

Grand Kenjeran - Surabaya

Dengan klik tombol kontak, Pengguna setuju dengan Syarat Pengguna dan Kebijakan Privasi


Dengan klik tombol kontak, Pengguna setuju dengan Syarat Pengguna dan Kebijakan Privasi

Tertarik dengan Properti Ini?

Agent Image

LEONARDI (JFGZ)

Siap Membantu!

Butuh bantuan jual, sewa, cari properti? Brighton siap membantu

Hubungi Customer Service Brigita