Menu

KPR
FAQ
 
 
 
Tanah

JUAL JLN SADANG BUNTU

Rp 5,43 Juta/m2

Rp 16 Miliar

DIJUAL TANAH DATAR LETER U SIAP DIBANGUN DAERAH CIBOLERANG BANDUNG

 

Detail Properti

Transaksi

Jual

Kamar Tidur

-

Kamar Mandi

-

Luas Tanah

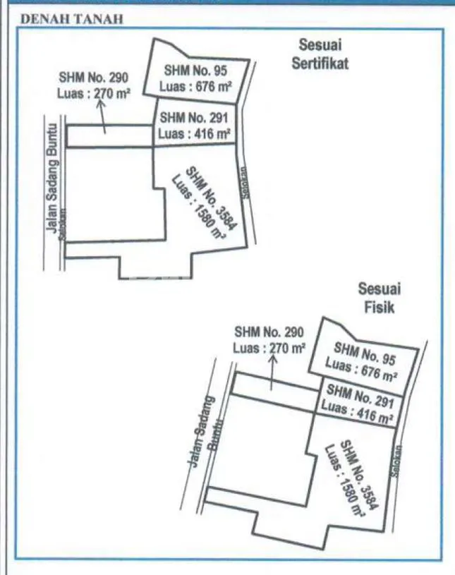
2942 m2

Tipe Properti

Tanah

Alamat

JLN SADANG BUNTU

Lokasi

Jawa Barat, Bandung, Cigondewah

Listrik

-

Sertifikat

SHM

Hadap

-

Group

Secondary

Furnish

Non-furnished

Ada Garasi

Ya

Per m2

Rp 5,438,477 m2

Terdaftar Pada

20 November 2025

ID Listing

052224-MCKBP00004

 

Keterangan

DIJUAL TANAH DATAR leter U
Siap dibangun daerah CiBolerang Bandung
Dekat Cigondewah

Masuk 2 mobil
Bisa akses keluar Tol Kopo atau Tol Margaasih

SHM
LT = 2942 m2
Price = 5,5 juta / meter nego

 

Simulasi Cicilan KPR

Harga Properti (Rp)

Rp 16 Miliar

Uang Muka (Rp)

%

Jangka Waktu

tahun

Suku Bunga

%

Jumlah Angsuran

per bulan
foto-agen

SRI (CLGX)

Brighton Masterpiece

Kota Baru Parahyangan - Bandung

Dengan klik tombol kontak, Pengguna setuju dengan Syarat Pengguna dan Kebijakan Privasi
Dengan klik tombol kontak, Pengguna setuju dengan Syarat Pengguna dan Kebijakan Privasi

Tertarik dengan Properti Ini?

Agent Image

SRI (CLGX)

Siap Membantu!

Butuh bantuan jual, sewa, cari properti? Brighton siap membantu

Hubungi Customer Service Brigita