Menu

KPR
FAQ
 
 
 
Tanah

JUAL JL SUMARSONO

Rp 8,08 Juta/m2

Rp 97,4 Miliar

TANAH SUMARSONO 1.2 HA

 

Detail Properti

Transaksi

Jual

Kamar Tidur

-

Kamar Mandi

-

Luas Tanah

12054 m2

Tipe Properti

Tanah

Alamat

JL SUMARSONO

Lokasi

Sumatera Utara, Medan, Medan Helvetia

Listrik

-

Sertifikat

SHM

Hadap

-

Group

Secondary

Furnish

-

Ada Garasi

Ya

Per m2

Rp 8,080,305 m2

Terdaftar Pada

07 November 2025

ID Listing

171425-BRWD00038

 

Keterangan

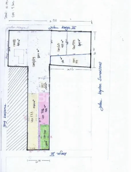
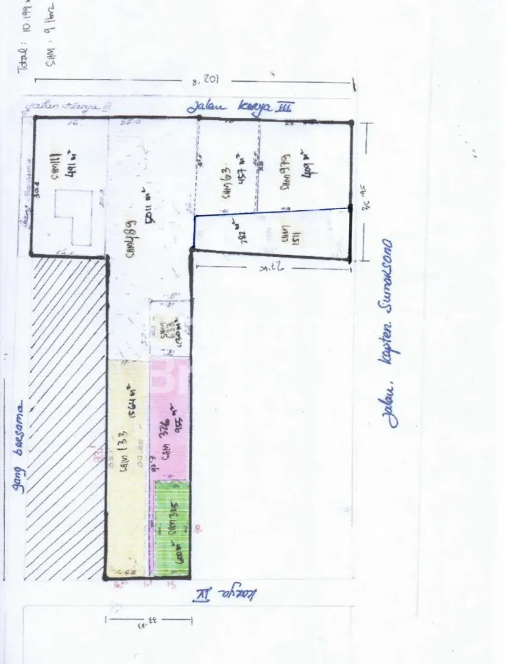
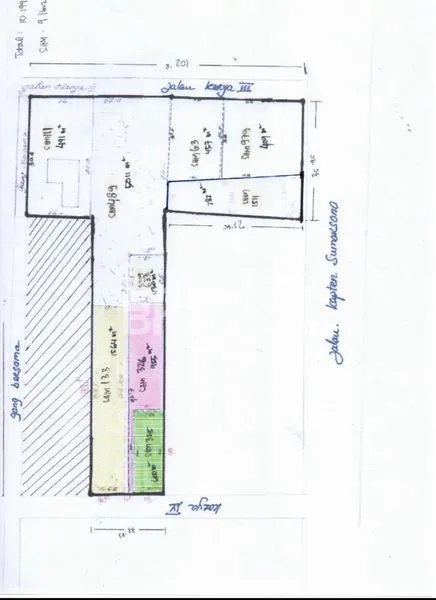
Tanah di jalan Sumarsono ini sangat strategis karena . jalan Sumarsono termasu jalan ringroad yang ada di Medan
Tanah ini terdiri dari 2 bidang tanah yaitu
1. bidang 1 adalah Sertifikat Hak Milik . dengan Luas 1855m2
Dimensi 53 × 35 m

z2 Bidang tanah ke 2 adalah sertifikat hak milik dengan total luas 10.199m² dengan Dimensi 53 x 192.4
Tanah kedua tidak segi empat . rapi sangat bagus lokasinya karena dapat sisi jalan samping ke jalan karya dengan lebar 52m²
( ada saya sertakan di foto diatas)
Lokasi ini atau tanah ini sangat cocok untuk Kantor/ OFFICE .. juga sangat bagus buat Building . Atau Rumah sakit ataupun sarana olahraga DLL
Hanya 5 mnt ke Manhatan
Hanya 10mnt ke RCW
hanya 5 menit ke gate tol Helvetia

 

Simulasi Cicilan KPR

Harga Properti (Rp)

Rp 97,4 Miliar

Uang Muka (Rp)

%

Jangka Waktu

tahun

Suku Bunga

%

Jumlah Angsuran

per bulan
foto-agen

ANNETTE UTOMO (JUPO)

Brighton Wisdom

Gamacity - Medan

Dengan klik tombol kontak, Pengguna setuju dengan Syarat Pengguna dan Kebijakan Privasi
Dengan klik tombol kontak, Pengguna setuju dengan Syarat Pengguna dan Kebijakan Privasi

Tertarik dengan Properti Ini?

Agent Image

ANNETTE UTOMO (JUPO)

Siap Membantu!

Butuh bantuan jual, sewa, cari properti? Brighton siap membantu

Hubungi Customer Service Brigita