Menu

KPR
FAQ
 
 
 
Tanah

JUAL BULELENG

Rp 4,08 Juta/m2

Rp 124,86 Miliar

TANAH PREMIUM SHM DI LOVINA BALI

 

Detail Properti

Transaksi

Jual

Kamar Tidur

-

Kamar Mandi

-

Luas Tanah

30560 m2

Tipe Properti

Tanah

Alamat

BULELENG

Lokasi

Bali, Buleleng, Lovina

Listrik

-

Sertifikat

SHM

Hadap

-

Group

Secondary

Furnish

-

Per m2

Rp 4,085,995 m2

Terdaftar Pada

07 Januari 2026

ID Listing

212225-WNCG00001

 

Keterangan

🌴 TANAH 3 HA LOSS PANTAI LOVINA – BALI 🌴

Lokasi Premium • View Lengkap • Akses Jalan Pribadi • SHM

📍 Lokasi:

Desa Kalibukbuk, Kecamatan Buleleng, Kabupaten Buleleng – Bali
(Lovina Beach Area)

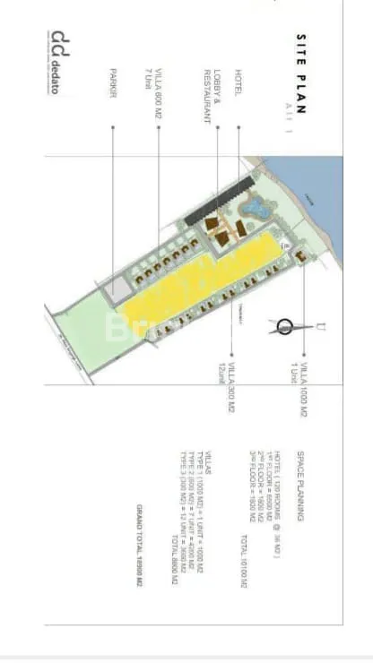
📐 Luas Tanah: 30.560 m²
(3 hektar + 5,6 are)
Legalitas: 12 Sertifikat Hak Milik (SHM)

💰 Harga: Rp 124.868.000.000
(= Rp 408,6 juta / are)
Harga masih bisa nego owner


Keunggulan Properti:

✔ Loss pantai langsung – akses privat ke beach
✔ View lengkap: pegunungan • hamparan sawah • garis pantai
✔ Akses jalan pribadi lebar 6 meter (aspal)
✔ Lokasi tenang, eksklusif & cocok untuk pengembangan skala besar
✔ Area premium kawasan wisata Lovina

Sangat Cocok Untuk

🏝 Resort
🏡 Villa mewah
🏨 Hotel & Beach Club
💆 Spa & Wellness Retreat
📈 Investasi jangka panjang

 

Simulasi Cicilan KPR

Harga Properti (Rp)

Rp 124,86 Miliar

Uang Muka (Rp)

%

Jangka Waktu

tahun

Suku Bunga

%

Jumlah Angsuran

per bulan
foto-agen

SWASTARI (HNST)

Brighton Winner

Canggu - Bali

Dengan klik tombol kontak, Pengguna setuju dengan Syarat Pengguna dan Kebijakan Privasi
Dengan klik tombol kontak, Pengguna setuju dengan Syarat Pengguna dan Kebijakan Privasi

Tertarik dengan Properti Ini?

Agent Image

SWASTARI (HNST)

Siap Membantu!

Butuh bantuan jual, sewa, cari properti? Brighton siap membantu

Hubungi Customer Service Brigita