Menu

KPR
FAQ
 
 
 
Tanah

JUAL JALAN PONDOK JAYA

Rp 10 Juta/m2

Rp 620 Juta

TANAH DENGAN HARGA NEGOTIABLE, SIAP BANGUN DI KAWASAN STRATEGIS, MAMPANG PRAPATAN, JAKSEL.

 

Detail Properti

Transaksi

Jual

Kamar Tidur

-

Kamar Mandi

-

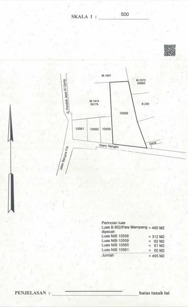
Luas Tanah

62 m2

Tipe Properti

Tanah

Alamat

JALAN PONDOK JAYA

Lokasi

DKI Jakarta, Jakarta Selatan, Mampang Prapatan

Listrik

-

Sertifikat

SHM

Hadap

-

Group

Secondary

Furnish

-

Per m2

Rp 10,000,000 m2

Terdaftar Pada

23 September 2025

ID Listing

231825-PPBM00005

 

Keterangan

#307 Maret 25

Tanah siap bangun seluas 62 m²
Berada di zona R1 (Perumahan)
Lokasi dan akses strategis, dekat area perkantoran besar SBCD
Harga bisa dinego!

 

Simulasi Cicilan KPR

Harga Properti (Rp)

Rp 620 Juta

Uang Muka (Rp)

%

Jangka Waktu

tahun

Suku Bunga

%

Jumlah Angsuran

per bulan
foto-agen

ZAHRANI (MAT)

Brighton Prosperity

Batu - Malang


foto-agen

BASRI (HPLC)

Brighton Prosperity

Pondok Indah - Jakarta Selatan

Dengan klik tombol kontak, Pengguna setuju dengan Syarat Pengguna dan Kebijakan Privasi
Dengan klik tombol kontak, Pengguna setuju dengan Syarat Pengguna dan Kebijakan Privasi

Tertarik dengan Properti Ini?

Agent Image

ZAHRANI (MAT)

Siap Membantu!

Butuh bantuan jual, sewa, cari properti? Brighton siap membantu

Hubungi Customer Service Brigita